1 Stück
(182,35 € / kg)
Art.Nr.: P-B-001-A-85-1
6 Stück
(173,24 € / kg)
Art.Nr.: P-B-001-A-85-6
12 Stück
(164,12 € / kg)
Art.Nr.: P-B-001-A-85-12
24 Stück
(155,00 € / kg)
Art.Nr.: P-B-001-A-85-24
Produkbeschreibung: Intensivpflege für Sommerekzem und gereizte PferdehautAnwendungstipps: Kurz und knapp erklärtVorteile: Auf einen BlickBestandteile / InhaltsstoffeProdukthinweise: Lagerung und AnwendungAnwendung im DetailProblem bei Pferden: Sommerekzem und gereizte PferdehautKundenfotos von Pferd mit Sommerekzem
Produkbeschreibung: Intensivpflege für Sommerekzem und gereizte Pferdehaut
Unsere Haut-Intensiv-Pflege Bio ist ein rein natürliches Pflegeprodukt für Pferde, welches speziell für empfindliche und geschädigte Haut wie die von Pferden mit Sommerekzem geeignet ist. Sie wirkt beruhigend bei Juckreiz, unterstützt den Heilungsprozess und macht trockene Haut geschmeidig. Ebenso ideal für empfindliche Körperstellen wie Kopfbereich und Euter.
Anwendungstipps: Kurz und knapp erklärt
Die beste Wirkung und effektivste Verteilung wird erzielt, wenn die Haut bzw. das Haarkleid zur Anwendung etwas feucht ist – entweder durch eine vorherige Wäsche oder ganz einfach kurz mit einem Zerstäuber etwas Wasser aufsprühen. Dann eine kleine Menge des Pflegebalsams mit einem sauberen Finger entnehmen und auf den entsprechenden Stellen verteilen und kurz einmassieren. Täglich oder je nach Bedarf anwenden.
Vorteile: Auf einen Blick
- Besteht ausschließlich aus 2 Inhaltsstoffen
- Aus hochwertigem Bio-Olivenöl und reinem Bienenwachs in Bio-Qualität
- Zur Pflege schuppiger, spröder, rissiger Haut und strapazierten Fellpartien
- Ideal auch zur Pflege von Exzemern
- Bestens geeignet für empfindliche Körperstellen
- Ohne Farb-, Konservierungs- und Duftstoffe
- Schützt und pflegt
Bestandteile / Inhaltsstoffe
Olivenöl*, Bienenwachs*. *Inhaltsstoffe aus kontrolliert biologischem Anbau (kbA)
Inhaltsstoffangabe INCI
Olea Europaea Fruit Oil, Cera flava.
Produkthinweise: Lagerung und Anwendung
Bei Raumtemperatur, gut verschlossen und lichtgeschützt lagern.
Anwendung im Detail
Vorbereitung der Hautstelle:
- Die Bereiche, die mit dem Pflege-Balsam eingecremt werden sollen, werden zuerst gereinigt:
- Wenn keine starke Verschmutzung vorliegt, reicht es, mit einer Kardätsche oder eventuell Wurzelbürste lose Haare und Hautschuppen zu entfernen. Anschließend wird die Haut/ das Fell befeuchtet, zum Beispiel mit einem feuchtem Schwamm oder einem Zerstäuberfläschchen mit Wasser.
- Bei stärkerer Verschmutzung oder stark schuppiger Haut empfehlen wir, die entsprechende Stelle mit Wasser und Schwamm oder vorsichtig mit einem Massage- oder Sisal-Handschuh zu reinigen. Bitte nicht abtrocknen, da unser Pflege-Balsam am besten in feuchte Haut einzieht.
Pflege-Balsam aufbringen:
- Jetzt, da die zu behandelnde Stelle gereinigt und angefeuchtet ist, kann der Pflege-Balsam aufgetragen werden: Einfach eine kleine Menge des Balsams mit einem sauberen Finger aus dem Tiegel entnehmen und auf der Hautstelle verteilen, leicht einmassieren.
Kurze Einwirkzeit beachten:
- Das Pferd sollte nach dem Eincremen mit der Haut-Intensiv-Pflege nicht sofort auf die Weide, den Paddock oder die Box gebracht werden. Um zu verhindern, dass sich das Pferd sofort nach dem Einschmieren wälzt oder schubbert, beschäftigt man im Anschluss das Pferd im Idealfall noch einige Minuten mit weiterer Pflege oder natürlich Training/ reiten/ longieren oder Spaziergang.
Problem bei Pferden: Sommerekzem und gereizte Pferdehaut
Das Sommerekzem ist eine der am häufigsten auftretenden Allergien bei Pferden. Diese in der warmen Jahreszeit auftretende, jährlich wiederkehrende Hauterkrankung entwickelt oder verstärkt sich oftmals auch erst mit zunehmenden Alter des Pferdes. Auslöser für das allergische Sommerekzem bei Pferden ist oftmals eine Sensibilisierung durch Insekten wie Gnitzen. Als Ursache für diese allergische Reaktion werden verschiedene Aspekte in Betracht gezogen, unter anderem ernährungs- oder stoffwechselbedingte Mängel an Spurenelementen wie Zink oder Selen. Aber auch Faktoren wie Stress oder Probleme mit der Darmfunktion können möglicherweise ursächlich für die Ausbildung eines allergischen Sommerekzems sein. Deine Tierärztin/ Dein Tierarzt oder erfahrene Therapeuten können Dir bei der Ursachen-Forschung helfen und mögliche Therapie-Ansätze aufzeigen.
In jedem Fall ist die Haut eines Pferdes mit Sommerekzem extrem gereizt und empfindlich. Daher ist eine sehr schonende Pflege, die nicht durch unnötige Zusatzsstoffe weiter reizt, optimal. Trotzdem soll das Pflegeprodukt für die Ekzemer-Haut natürlich ein Maximum an beruhigenden und schützenden Eigenschaften bieten, um eine Minderung des Juckreizes zu erzielen und die Haut bei der Regeneration bestens zu unterstützen.
Genau das macht unsere Haut-Intensiv-Pflege aus: Der Balsam besteht ausschließlich aus zwei Inhaltsstoffen: Bio-Olivenöl und Bienenwachs in Bio-Qualität. Beste Pflege und Schutz komplett ohne reizende Zusatzstoffe!
Selbstverständlich können aber nicht nur Ekzemer-Pferde von der wunderbaren Wirkung unseres Haut-Pflege-Balsams profitieren. Auch andere gereizte, trockene, rissige oder schuppige Hautpartien werden ideal mit der Haut-Intenviv-Pflege versorgt. Weitere mögliche Anwendungsgebiete: Scheuerstellen im Sattelgurt-Bereich, Liegeschwielen, Narbenpflege, Euter-Pflege, Nabel-Pflege.
In jedem Fall ist die Haut eines Pferdes mit Sommerekzem extrem gereizt und empfindlich. Daher ist eine sehr schonende Pflege, die nicht durch unnötige Zusatzsstoffe weiter reizt, optimal. Trotzdem soll das Pflegeprodukt für die Ekzemer-Haut natürlich ein Maximum an beruhigenden und schützenden Eigenschaften bieten, um eine Minderung des Juckreizes zu erzielen und die Haut bei der Regeneration bestens zu unterstützen.
Genau das macht unsere Haut-Intensiv-Pflege aus: Der Balsam besteht ausschließlich aus zwei Inhaltsstoffen: Bio-Olivenöl und Bienenwachs in Bio-Qualität. Beste Pflege und Schutz komplett ohne reizende Zusatzstoffe!
Selbstverständlich können aber nicht nur Ekzemer-Pferde von der wunderbaren Wirkung unseres Haut-Pflege-Balsams profitieren. Auch andere gereizte, trockene, rissige oder schuppige Hautpartien werden ideal mit der Haut-Intenviv-Pflege versorgt. Weitere mögliche Anwendungsgebiete: Scheuerstellen im Sattelgurt-Bereich, Liegeschwielen, Narbenpflege, Euter-Pflege, Nabel-Pflege.
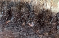
Kundenfotos von Pferd mit Sommerekzem
Mähnenkamm und Schweifrübe im Juli 2020: Beginn der Pflege mit dem Haut-Intensiv-Pflege Balsam






Mähnenkamm und Schweifrübe im August 2020: nach etwa einem Monat Pflege mit dem Haut-Intensiv-Pflege Balsam



Mähnenkamm und Schweifrübe im September 2020: ca. zwei Monate nach Beginn der Pflege mit dem Haut-Intensiv-Pflege Balsam



